Incident u Bruxellesu: posada greškom započela polijetanje s rulnice

Na briselskoj zračnoj luci u srijedu navečer, 5. veljače 2026., dogodio se sigurnosni incident kada je zrakoplov SAS Scandinavian Airlinesa pokušao poletjeti s paralelne rulnice umjesto s uzletno-sletne staze.

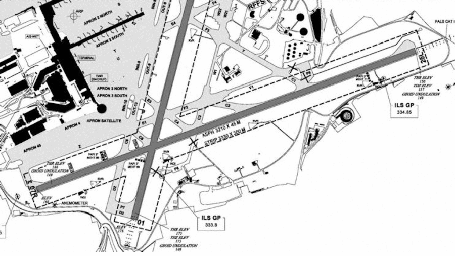
Riječ je o Airbusu A320neo, registracije SE-ROM, koji je obavljao let SK-2590 na liniji Bruxelles – Kopenhagen s ukupno 165 osoba na letu. Nakon što je posada dobila dozvolu za polijetanje sa staze 07R, zrakoplov se poravnao na paralelnoj rulnici E1, gdje je u 22:03 po lokalnom vremenu započeo zalet. Posada je u vrlo kasnoj fazi shvatila pogrešku te je pri velikoj brzini, procijenjenoj na oko 100 čvorova, prekinula polijetanje. Zrakoplov se uspio zaustaviti na križanju rulnica V1 i C1, neposredno prije kraja rulnice i u blizini spremnika goriva zračne luke.

© AIP Belgium and Luxembourg

Nakon zaustavljanja, na mjesto su odmah upućene hitne službe. Putnici su evakuirani na rulnicu te autobusima prevezeni natrag u terminal. U incidentu nitko nije ozlijeđen, a let je otkazan. Putnicima je osigurano preusmjeravanje na druge letove prema Kopenhagenu.

Iz zračne luke Bruxelles potvrđeno je da je zrakoplov započeo zalet na pogrešnoj površini, odnosno na paralelnoj rulnici umjesto na uzletno-sletnoj stazi. Meteorološki uvjeti u trenutku incidenta bili su stabilni, uz dobru vidljivost, slab vjetar i bez značajnih vremenskih pojava, što dodatno naglašava ozbiljnost događaja s operativnog i ljudskog aspekta.

SAS je u kratkom priopćenju naveo kako u potpunosti surađuje s nadležnim tijelima u istrazi incidenta. Istraga je formalno otvorena, a očekuje se da će obuhvatiti komunikaciju posade i kontrole letenja, prostornu orijentaciju u zoni uzletno-sletnih staza te moguće operativne i organizacijske čimbenike.

Važan kontekst ovog incidenta je činjenica da se let odvijao u večernjim satima kada vizualne razlike između uzletno-sletne staze i paralelnih rulnica mogu biti manje uočljive, osobito u složenim aerodromskim konfiguracijama. Uzletno-sletne staze standardno su opremljene snažnijim i jasno strukturiranim bijelim rubnim svjetlima, središnjom linijom označenom bijelim svjetlima te, ovisno o duljini i kategoriji, dodatnim svjetlosnim zonama poput pragova, kraja staze i sustava prilaza. Rulnice, s druge strane, koriste zelena svjetla središnje linije i plava rubna svjetla, slabijeg intenziteta, namijenjena vožnji pri malim brzinama. U noćnim uvjetima, uz prisutnost umjetne rasvjete platforme, refleksija na mokroj podlozi ili vizualnog „šuma” u perifernom vidu, može doći do perceptivnog zavaravanja, osobito ako se posada oslanja na očekivani položaj staze umjesto striktne provjere pozicije prema kartama i instrumentima. Upravo zato noćne operacije zahtijevaju dodatnu razinu situacijske svjesnosti i striktno pridržavanje procedura prije samog poravnanja za polijetanje.

Dodatnu težinu incidentu daje i svjedočanstvo jednog švedskog političara koji se nalazio na letu, a kojeg su citirali lokalni mediji. Prema njegovim riječima, kapetan mu je nakon evakuacije rekao da je u pilotskoj kabini nastala izrazito dramatična situacija u trenutku kada su shvatili da se ne nalaze na uzletno-sletnoj stazi, dodavši kako u 28 godina letačke karijere nikada nije doživio ništa slično. Isti izvor navodi i da je posada tijekom ukrcaja požurivala putnike kako bi se izbjegao gubitak dodijeljenog slota za polijetanje, što će također biti jedan od elemenata koje će istražitelji uzeti u obzir.

Iako je incident završio bez fizičkih posljedica, pokušaj polijetanja s rulnice ubraja se među najteže operativne pogreške u civilnom zrakoplovstvu te će rezultati istrage biti od velikog interesa za širu zrakoplovnu zajednicu, posebno u smislu sigurnosnih procedura, obuke posada i upravljanja opterećenjem u kompleksnim zračnim lukama.

Odgovori